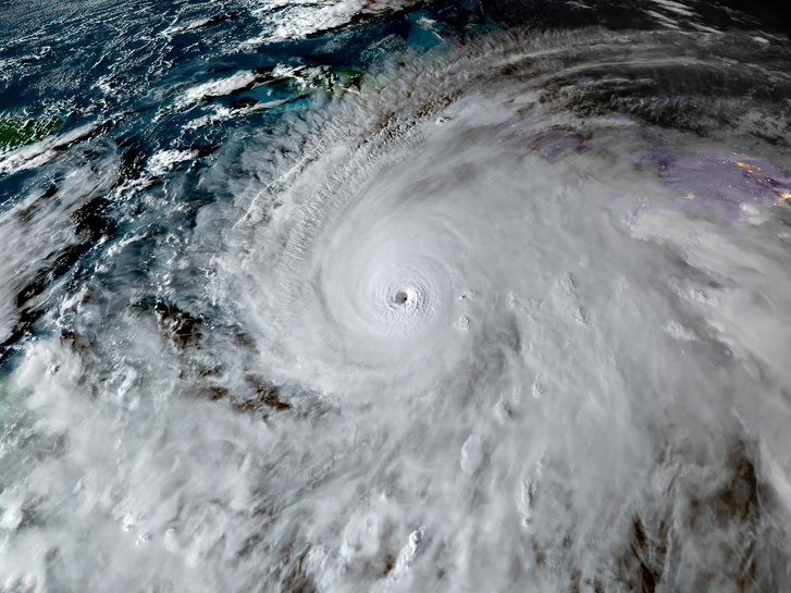
Óriási pusztítást okozhat a Melissa hurrikán, amely a valaha mért legerősebb vihar lehet Jamaicán. Az amerikai meteorológusok „katasztrofális és életveszélyes” körülményekre figyelmeztetnek – írja a BBC. A lap szerint már három ember meghalt a térségben – Haiti és a Dominikai Köztársaság –, miközben a szigetország az idei év legerősebb viharára készül. A Melissa hurrikán
óránként 282 kilométeres széllökésekkel közelít, elérve a legmagasabb, ötös kategóriát a hurrikánok osztályozásában.
Az amerikai Nemzeti Hurrikán Központ (NHC) legfrissebb adatai szerint a Melissa a maximális szélsebesség és az alacsony központi légnyomás alapján az idei év legerősebb vihara világszerte. A CBS jelentése szerint jelenlegi erősségével a Melissa lenne a legerősebb hurrikán, amely Jamaica partjait valaha elérte: 1851 óta tartják számon a rekordokat.

A hurrikán várhatóan kedd hajnalban éri el a szigetet. Helyi idő szerint hétfő este 11 órakor a vihar még körülbelül 240 kilométerre volt délnyugatra a fővárostól, Kingstontól, 280 kilométer/órás tartós széllel. Az NHC közlése szerint Jamaicán már észlelhetők a trópusi vihar jelei, és
[…]
A teljes cikk megtekintéséhez és tovább olvasásához KATTINTSON IDE!
Forrás:
https://index.hu/kulfold/2025/10/28/jamaica-hurrikan-eletveszely-aldozatok-vihar/
*Tisztelt Olvasó! Amennyiben a cikk tartalma módosult vagy sértő elemeket tartalmaz, kérjük jelezze számunkra info@net-front.hu e-mail címen!
Hirben.hu Hírben jók vagyunk!